池ノ台 古屋付き土地 

990万円

福島県郡山市池ノ台2-16

東北本線「郡山」駅徒歩21分

磐越西線「郡山富田」駅徒歩58分

東北本線「安積永盛」駅徒歩59分

価格
990万円
坪単価
34.74万円(28.50坪)
所在地
福島県郡山市池ノ台2-16
交通

東北本線郡山」駅 徒歩21分

磐越西線郡山富田」駅 徒歩58分

東北本線安積永盛」駅 徒歩59分

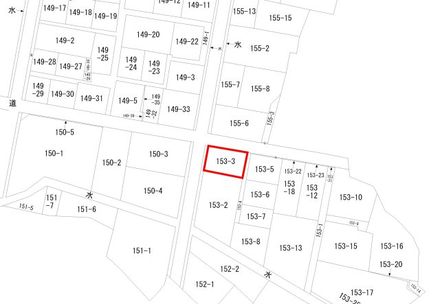
土地面積(坪数)
94.22㎡(28.50坪)
建ぺい率 / 容積率
60% / 200%

セールスポイント

文化センター近くの古屋付き土地をお預かりいたしました!

担当者のコメント

内山 優汰

セットバックが必要になります。物件についてお気軽にお問い合わせください!

基本情報

販売区画数
-
総区画数
-
土地面積(坪数)
94.22㎡(28.50坪)
坪単価
34.74万円
私道負担面積
割合
-
セットバック
記載なし
建ぺい率 /
容積率
60% / 200%
高圧線下面積
-
傾斜地部分面積
-
路地状敷地
-
地目
宅地
地勢
-
造成工事
完了予定
-
土地権利
所有権
建築条件
都市計画
市街化区域
用途地域
第一種住居
接道状況
角地(北 公道)(西 公道)
国土法届出要否
不要
最適用途
住宅用地
その他
法令上の制限
-
取引態様
専任媒介
現況
古家有
引渡条件
現況渡
引渡時期
相談
取引条件の
有効期限
2025年11月24日

設備条件

設備条件
  • 閑静な住宅地 / 都市ガス / 公営水道 / 公共下水 / 電気有
設備(その他)
    -

その他

物件番号
91571299
管理コード
池ノ台 古屋付き土地
情報更新日
2025年11月10日
次回更新予定日
2025年11月24日
備考

◆物件POINT◆
*ヨークベニマル堤下店近くで日常生活の利便性良好
*近隣に大きめの公園があり、お散歩コースにもぴったり♪
*リフォーム相談もお気軽に♪

【Life Information】
・橘小学校・・・徒歩5分
・第三中学校・・・徒歩17分
・セブンイレブン郡山文化センター前店・・・徒歩5分
・ヨークベニマル堤下店・・・徒歩4分

お気軽にお問い合わせください♪

ご内覧・お問い合わせはこちら↓↓↓
フリーダイヤル 0120-804-250

住まいの窓口 株式会社BIRTHLAND

周辺施設

  • 池ノ台クリニックの画像

    内科

    池ノ台クリニック

    90m(2分)

  • あすなろ調剤薬局 堤下店の画像

    ドラッグストア

    あすなろ調剤薬局 堤下店

    144m(2分)

  • サンドラッグ 郡山堤下店の画像

    ドラッグストア

    サンドラッグ 郡山堤下店

    185m(3分)

  • ヨークベニマル堤下店の画像

    スーパー

    ヨークベニマル堤下店

    310m(4分)

  • セブンイレブン 郡山文化センター前店の画像

    コンビニエンスストア

    セブンイレブン 郡山文化センター前店

    338m(5分)

  • 郡山市立橘小学校の画像

    小学校

    郡山市立橘小学校

    372m(5分)

  • ツルハドラッグ 郡山深沢店の画像

    ドラッグストア

    ツルハドラッグ 郡山深沢店

    676m(9分)

  • ローソン 郡山愛宕店の画像

    コンビニエンスストア

    ローソン 郡山愛宕店

    738m(10分)

  • 八山田保育園 ひだまり分園の画像

    保育園

    八山田保育園 ひだまり分園

    845m(11分)

  • いわた歯科医院の画像

    歯科

    いわた歯科医院

    1015m(13分)

  • ザ・モール郡山店の画像

    スーパー

    ザ・モール郡山店

    1061m(14分)

  • 天田内科クリニックの画像

    小児科

    天田内科クリニック

    1207m(16分)

  • イオンタウン郡山の画像

    ショッピングセンター

    イオンタウン郡山

    1278m(16分)

  • 郡山市立郡山第三中学校の画像

    中学校

    郡山市立郡山第三中学校

    1286m(17分)

  • 赤木保育所の画像

    保育園

    赤木保育所

    1699m(22分)

  • 山下内科胃腸科医院の画像

    総合病院

    山下内科胃腸科医院

    1938m(25分)

  • ニトリ 郡山店の画像

    インテリア

    ニトリ 郡山店

    2036m(26分)

  • いしだ内科の画像

    総合病院

    いしだ内科

    2040m(26分)

  • 東邦銀行郡山東支店の画像

    銀行

    東邦銀行郡山東支店

    2179m(28分)

支払いシミュレーション

月々の支払額
9.6
購入希望物件価格
万円
頭金
万円
金利
%
返済額(ボーナス1回分)
万円
返済期間

※ボーナスは自動で年2回分で計算されます。

近隣の物件

  1. 桑野5丁目 土地

    郡山市桑野5丁目

    - (290.07㎡)

    2,280万円

  2. 名倉土地1区画 住宅用地

    郡山市字名倉

    - (318.00㎡)

    1,150万円

  3. 郡山市阿久津町字石橋 土地 資材置き場用地

    郡山市阿久津町字石橋

    - (661.00㎡)

    360万円

  4. 西田町芹沢字妻 土地

    郡山市西田町芹沢字妻

    - (665.00㎡)

    200万円

池ノ台 古屋付き土地 

池ノ台 古屋付き土地 

990万円

-(94.22㎡)

お気軽にお問い合わせください

無料お問い合わせ

住まいの窓口郡山本店 運営株式会社バースランド

0120-804-250

09:00~20:00

(休:不定休)